| ハンゲショウとタイサンボク |
前回(7月2日)に国営昭和記念公園を訪れた際に、7月初めから咲き始めた「ハンゲショウ」と「タイサンボク」を見逃していた。
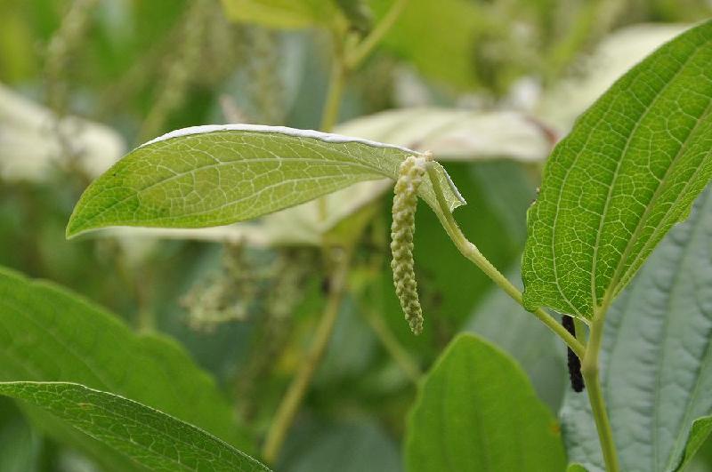
それから2週間が経ち、ハンゲショウは、だいぶ花芽も伸びていたし、上に伸びた花には種も実っていた。
ハンゲショウの葉をじっくり観察した。 日の当る上面だけが白くなり、日の当らない裏面は緑のままだった。
タイサンボクにいたっては、花の後に一端丸坊主頭になった花の芯が目立ってきている。
当初は、白い大きなタイサンボクの花は下枝に多く見られたが、いまは木の梢の方へ移動して行った。 |
 |
 |
|